Woda spada z nieba, a rachunek z poczty.

Nie wpadłeś w pułapkę „betonozy”? Masz kostkę na podjeździe? Podatek od kostki brukowej – czym jest i kogo dotyczy?

Podatek od kostki brukowej – od kiedy obowiązuje?

Podatek od kostki brukowej został wprowadzony w Polsce 1 stycznia 2018 roku na mocy nowelizacji ustawy z dnia 20 lipca 2017 roku – Prawo wodne (Dz. U. 2017 poz. 1566 z późn. zm.). Ostatnia nowelizacja przepisów miała miejsce w 2022 roku i poszerzyła grono beneficjentów.

Wysokość podatku od kostki brukowej zależy od stopnia zabudowy działki oraz zastosowania urządzeń retencyjnych.

  • 1,00 zł za 1 m² za każdy rok – w przypadku braku urządzeń do retencjonowania wody.
  • 0,60 zł za 1 m² za każdy rok – gdy zastosowano urządzenia do retencjonowania wody o pojemności do 10% odpływu rocznego.
  • 0,30 zł za 1 m² za każdy rok – gdy zastosowano urządzenia do retencjonowania wody o pojemności od 10 do 30% odpływu rocznego.
  • 0,10 zł za 1 m² za każdy rok – gdy zastosowano urządzenia do retencjonowania wody o pojemności powyżej 30% odpływu rocznego.

Oznacza to, że powierzchnia o wymiarze 600 m² pokryta kostką brukową lub innym materiałem nieprzepuszczalnym w 50% może generować koszt na poziomie 900 zł rocznie.

Przez lata żyliśmy w przekonaniu, że tzw. „podatek od deszczu” dotyczy tylko wielkich hal magazynowych, supermarketów z gigantycznymi parkingami i deweloperów. To myślenie jest już nieaktualne. Wystarczy, że pstanowili Państwo wyłożyć podjazd estetyczną kostką brukową, by znaleźć się na celowniku urzędników.

Właściciele domów jednorodzinnych, zmęczeni koszeniem trawy i pielęgnacją ogrodu, masowo wykładają swoje posesje kostką brukową. Podjazdy, tarasy, ścieżki, a czasem całe podwórka zamieniają się w szczelne, betonowe place. Jest czysto, estetycznie i nowocześnie.

Wielki Brat patrzy na twoją posesję. Drony, mapy satelitarne, urzędnicy.

Czasy, gdy wielkość powierzchni utwardzonej deklarowało się „na oko”, minęły bezpowrotnie. Gminy coraz chętniej sięgają po nowoczesne technologie, by uszczelnić system poboru opłat. Wykorzystuje się do tego:

  1. Mapy ortofotomapy: Wysokiej rozdzielczości zdjęcia lotnicze pozwalają precyzyjnie obrysować kontury budynków, tarasów i podjazdów. Program komputerowy w kilka sekund wylicza metraż powierzchni nieprzepuszczalnej.
  2. Drony: W przypadku sporów lub terenów trudnodostępnych, urzędnicy mogą wysłać drona.
  3. Kontrole terenowe: Pracownicy wodociągów sprawdzają fizycznie, gdzie podłączone są rynny.

  • Pilnuj progów: Jeśli masz bardzo dużą działkę (zbliżasz się do 3500 m²), uważaj z nowymi zabudowaniami. Przekroczenie progu ustawowego wpadnie w rygor „podatku od deszczu” naliczanego przez Wody Polskie, a tam stawki są znacznie wyższe (nawet 1,50 zł za 1 m² rocznie przy braku retencji).
  • Nie zalewaj sąsiada: To najważniejsza zasada. Woda opadowa musi zostać zagospodarowana na Twoim terenie. Jeśli po położeniu kostki sąsiad ma bagno w piwnicy – zapłacisz mu odszkodowanie znacznie wyższe niż koszt budowy studni chłonnej.

Czy Państwa posesja wpadła w próg podatkowy?

Należy o to wszystko zapytać urzędników w Urzędzie Gminy. Jeśli powołane specjalnie komisje stwierdzą, że stan trwa już wiele lat, mogą naliczyć odsetki od deszczu, który spadł na Państwa działkę.

Foto: sebbruk-com-pl

MK




Wieś Czarnowiec padła po 612. latach!

Wieś Czarnowiec padła po 612. latach!

Wieś kontra krawaciarze

„Pani Teresa w Gołuchowie mieszka od ponad 60 lat. Odkąd pamięta na swojej posesji miała albo gęsi, albo kury i koguty. I pewnie do głowy by jej nie przyszło, że przez koguty zostanie ukarana mandatem, bo jej zwierzę zakłócało ciszę nocną.
Gołuchowscy policjanci ukarali mandatem panią Teresę, bo ta przyznała się, że to jej koguty pieją około godz. 5.00.”

„Jednej z kobiet, która wypoczywała na wsi przeszkadzał hałas kombajnu, który kosił zboże. Dlatego postanowiła zadzwonić do mundurowych. Ci uznali, że rolnik zakłóca ciszę nocną i wlepili mu mandat”.

Dogmaty Karnisty: „Rolnik kosił zboże po godz. 22 i dostał mandat za zakłócanie ciszy nocnej. Spoczynek nocny miał zakłócać głośno pracujący kombajn*. Przyjrzyjmy się, jak to wygląda pod kątem Dogmatycznym.
Zakłócanie ciszy nocnej jest czynem zabronionym, opisanym w art. 51 Kodeksu wykroczeń. „Kto krzykiem, hałasem, alarmem lub innym wybrykiem zakłóca spokój, porządek publiczny, spoczynek nocny albo wywołuje zgorszenie w miejscu publicznym, podlega karze aresztu, ograniczenia wolności albo grzywny”.
Na pierwszy rzut oka niby wszystko się zgadza: kombajn zbożowy z pewnością „hałasuje” w czasie pracy na polu. Jest to stosunkowo głośne urządzenie. Jeśli praca maszyny nie pozwala komuś zasnąć lub po prostu mu przeszkadza, możemy mówić o „zakłóceniu spoczynku nocnego”.
Ten pierwszy rzut oka bywa czasem zwodniczy.
Hałas, który zakłóca spoczynek nocny, staje się wykroczeniem tylko wtedy, gdy jest hałasem bezprawnym. To znaczy wtedy, gdy stwierdzimy, że danej osobie w danych okolicznościach nie wolno hałasować, a inna osoba może słusznie domagać się, by w danym miejscu i czasie panowała cisza.
Czyli karalny może być tylko taki hałas, który nie powinien był się wydarzyć, bo jest sprzeczny z prawem.
Ale przecież nie każdy hałas jest zawsze sprzeczny z prawem (karetka na sygnale, przelatujący samolot, tramwaj na starym torowisku itd.).
Hałas generowany przez kombajn w czasie koszenia zboża nie jest hałasem bezprawnym. Rolnik ma prawo zebrać zboże za pomocą kombajnu, emitującego typowy dla takich urządzeń dźwięk, związany z regularną pracą.
Może się zdarzyć, że koszenie należy kontynuować późnym wieczorem i w nocy, w szczególności gdy prognoza pogody wskazuje na nadchodzący deszcz. Mokrego zboża nie da się zebrać; trzeba odczekać czasami kilka dni, aż wyschnie. Koszenia nie można też odkładać w nieskończoność, bo kłosy po prostu stracą ziarno.
Dopóki jest ciepło i zboże nadaje się do skoszenia, warto kontynuować prace. Jeśli przerwa groziłaby utratą plonów, kombajn powinien pracować jak najdłużej się da, by skosić całe pole. A 2-3 godziny nocnej pracy kombajnu pozwala na zebranie sporej ilości ziarna.
Nie można więc uznać, że nocna praca kombajnu wypełnia w takich okolicznościach znamiona wykroczenia.
Nie jest to „zakłócanie” spoczynku nocnego, które byłoby nieakceptowalne społecznie – nie jest to sprzeczne z normami postępowania właściwymi dla czasu żniw. Trzeba się pogodzić z tym, że na posesji położonej blisko pola ze zbożem w czasie żniw może „hałasować” kombajn.
Wykroczenie musi być czynem społecznie szkodliwym. Mówi o tym jasno art. 1 § 1 k.w.: „Odpowiedzialności za wykroczenie podlega ten tylko, kto popełnia czyn społecznie szkodliwy, zabroniony przez ustawę obowiązującą w czasie jego popełnienia pod groźbą kary (…)”.
W opisanych okolicznościach hałas kombajnu w czasie koszenia pola nie jest społecznie szkodliwy. „Sprawca” hałasu nie podlega więc odpowiedzialności za wykroczenie.”

Jak to się ma do upadku Czarnowca jako wsi?

Można zdecydowanie powiedzieć, że jeszcze do ubiegłego roku Czarnowiec, częściowo jako sypialnia Ostrołęki opierał się przed naporem krawaciarzy.

Dziś, o czym już pisaliśmy – BIEDRA w Czarnowcu lada dzień wystartuje. Jako sklep i wygoda dla wszystkich mieszkańców może statusu wsi nie zepsułaby.

Jednak to, co zaczęło się dziać od paru dni na polu (w sadzie) po Julianie Borkowskim – pierwszym powojennym sołtysie Czarnowca nie napawa optymizmem. Pan Borkowski jako pierwszy nauczyciel czarnowiecki uczył mieszkańców czytać i pisać. Były również wyjątki, że ktoś nie umiał się podpisać (pomimo zaangażowania nauczyciela), ale takie przypadki w Czarnowcu były rzadkością. Dziś możliwe, że Pan Borkowski w grobie się przewraca lub niezmiernie cieszy, że to właśnie w jego sadzie powstają jako pierwsze we wsi, inteligentne domy. Może to właśnie tu miała się zacząć nowoczesna czarnowiecka inteligentna osada (z blokowisk), tak jak tu po II wojnie światowej rozpoczęła się inteligentna podróż analfabetów do świata książek czy prasy drukowanej…?

Na działce o powierzchni odpowiadającej jednemu średniemu gospodarstwu w Czarnowcu pobudują 20 domów! Czy można tę budowę nazwać budową dwóch bloków, tylko że leżących? Po obu stronach drogi wewnętrznej stanie dokładnie po dziesięć mieszkań, a działki będą podzielone na powierzchnie przybliżone do niejednego przeciętnego salonu Kowalskiego.
Sam deweloper pisze o Czarnowcu tak:
– „Wybierając dom na Osiedlu Czarnowiec otrzymujesz: – Idealną alternatywę dla mieszkania w bloku z przemyślanym układem pomieszczeń.
Oferujemy dwa typy domów – większy, o powierzchni użytkowej 121,7 m2 (134,42 m2 po podłodze) i mniejszy – 97,01 m2 (104,89 m2 po podłodze).

„Osiedle Czarnowiec – ekologiczne domy, które uwodzą nowoczesnością.”

Smart dom

Czy dom może być inteligentyny?
Okazuje się, że tak.

Inteligentny dom, to system zintegrowanych urządzeń, które pozwalają na zdalne zarządzanie domowymi funkcjami, takimi jak oświetlenie, ogrzewanie, klimatyzacja, rolety, alarmy czy monitoring, za pomocą aplikacji w smartfonie lub poleceń głosowych. Główne korzyści z posiadania inteligentnego domu to zwiększony komfort, lepsze bezpieczeństwo i potencjalne oszczędności energii.

Co w przypadku braku energii elektrycznej? Gdzie schrony? Co z kurami i innym drobiem (jak to na wsi bywa)?

Ze strony dewelopera:
Opis Nowoczesnego Osiedla Smart Dom Czarnowiec:
20 eleganckich domów w zabudowie szeregowej o powierzchni od 97 do 121 m², stworzonych dla wymagających. Każdy dom to połączenie designu i technologii: fotowoltaika 3 kW, pompa ciepła, ogrzewanie podłogowe oraz inteligentny system zarządzania, który pozwoli Ci sterować ciepłem i urządzeniami z dowolnego miejsca na świecie. Dodatkowo każdy budynek posiada przygotowaną instalację pod klimatyzację, byś mógł cieszyć się komfortem przez cały rok.
Media + Ogrzewanie:
Woda, kanalizacja, prąd, fotowoltaika 3 kW, pompa ciepła, ogrzewanie podłogowe, Smart Dom – Somfy, instalacja pod klimatyzację
.”

Przy tej całej, nowoczesnej zgoła światowej inteligencji ludzi i jak się okazuje bloków mieszkalnych nie można się doszukać materiałów lub wytycznych dotyczących zasad inteligentnego zachowania w kwestii praw obywatelskich dla n.p. psów. Gzie będą s…y – przepraszam, wykonywać swoje potrzeby fizjologiczne psy lub suki. Czy taki smart dom przewiduje miejskie rozwiązania takie jak psie, wspólne latryny (nowoczesne) lub indywidualne dla zapewnienia komfortu i pozbawienia psa stresu. A może już po miejsku właściciele wypuszczą psa na pole sąsiada i tam go w…..ą? Czy w takiej sytuacji rolnik/właściciel gruntu również powinien dzwonić na policję, że pies sąsiada z bloku zanieczyszcza jego kukurydzę lub uprawy warzyw?
Po zdjęciach można jednak domniemać, że każdy pies będzie miał zapewniony za domem kawałek własnej trawy. Możliwe, że tu właśnie przewidziano latryny dla psów, ale o tym zapomniano wspomnieć. Czy to wśród zagród deweloperskich (inteligentnych) jedyna pozostałość po tradycji wiejskiej, że pies ma pilnować własnego podwórka?

Osobiście brakuje mi (na tę chwilę) w opisach tych „inteligentnych” inwestycji pozycji o zasadach asymilacji ze wsią! Nie doczytamy się nigdzie w materiałach promocyjnych o oborniku (gnoju), żniwach, trzodzie (świniach) czy wreszcie piejących kogutach. To przecież od wieków charakterystyczne cechy naszych wsi.
Z drugiej strony to może wypada również zauważyć zalety tego osiedla? W każdym zamieszkałym przez małżonków mieszkaniu będzie średnio (patrząc optymistycznie) cztery osoby (tata, mama, córka, syn). Zamelduje się w Czarnowcu około 80-ciu nowych mieszkańców. Będą płacić do gminy Rzekuń podatki. Patrząc również optymistycznie, to 30% z nich będzie kręciło na rowerach kilometry w czerwcu dla grupy Czarnowiec.pl, a drugie 30% zasili nasze Koło Gospodyń Wiejskich Czarna Owca w Czarnowcu.
Jest zatem nadzieja, również w niekorzystnej wydawać by się mogło sytuacji.
No i ostatecznie sprawdzi się również wyświechtane już powiedzenie, że „mleko i schabowy w Czarnowcu bierze się z Biedronki”. 🙂

edit: 20.09.2025 ps. A może inwestor zrobiłby, choć mały ukłon w stronę historycznego Czarnowca i nazwał uliczkę na cześć przed i powojennego właściciela Juliana Borkowskiego? Może: „W sadzie”, „Juliana Borkowskiego”, „Żniwna”? Nie wiem. Coś patriotycznego dla tego okresu?
Poniżej zdjęcie ze żniw u Borkowskich z upalnego lata 1938 roku.

Na koniec podsumowanie inwestora, które pozostawię bez komentarza…

„Budowa osiedla Czarnowiec SMART DOM wchodzi w czas realizacji. Teren inwestycji ogrodzony, czekamy na beton…”

Czarnowiec, jako wieś pada po 612 latach!

Tytułowy kogut od topagrar.pl, obrazki bloków od otodom.pl

MK, 19.09.2025




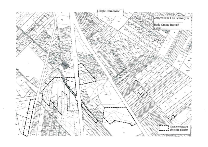
Plany zagospodarowania przestrzennego Czarnowca

Na zwołanej XI Zwyczajnej Sesji Rady Gminy Rzekuń, na dzień 18 grudnia 2024 r., która odbyła się w czarnowieckiej świetlicy, radni podjęli dwie uchwały w sprawie Czarnowca.
– Uchwałę nr XI/90/2024 Rady Gminy Rzekuń z dnia 18 grudnia 2024 roku w sprawie przystąpienia do sporządzenia miejscowego planu zagospodarowania przestrzennego terenów w obrębie Czarnowiec gmina Rzekuń.
– Uchwałę nr XI/86/2024 Rady Gminy Rzekuń z dnia 18 grudnia 2024 roku w sprawie nadania nazwy ulicy w miejscowości Czarnowiec.

Do uchwały nr 90 dodano załączniki (dwa) z obszarami objętymi opracowaniem planu.

Jednak w czwartek 23 stycznia nastąpią zmiany.

Poniżej załącznik nr 1 z projektu Uchwały, którą przegłosują radni w czwartek 23 stycznia.

Różnice?

Do wiadomości
Źródło: BIP Rzekun.pl

Marek Karczewski




Podatek od betonozy. Podatek od deszczu.

Ile wyniesie „podatek od deszczu”? Może to być nawet kilkaset złotych rocznie.

„Podatek od zabetonowania” (potocznie nazywany też „podatkiem od deszczu”) w kwocie nawet kilkuset złotych rocznie już wkrótce może grozić osobom, które nie będą dbały o retencję wody.
Masz działkę?
Betonowanie może cię drogo kosztować.

O planach opodatkowania słyszymy już od kilku lat.
Ministerstwo Gospodarki Morskiej i Żeglugi Śródlądowej planowało znacznie rozszerzyć grono właścicieli działek, którzy będą musieli uiszczać tzw. opłatę za usługi wodne (nazywaną także podatkiem od betonu albo podatkiem deszczowym). Dziś płacą ją jedynie właściciele działek o powierzchni ponad 3,5 tys. metrów kwadratowych, zabudowanych w co najmniej 70 proc. Po zmianach, przepisy miałyby objąć jednak znacznie mniejsze działki – o powierzchni przynajmniej 600 mkw., zabudowane w minimum połowie.

Szacuje się, że podatkiem obłożeni zostaliby właściciele ok. 140 tys. działek w całym kraju. Dla porównania, dziś chodzi o ok. 6,9 tys. działek. Opłatę muszą (lub będą musieli) płacić także osoby prywatne czy przedsiębiorcy.

Rząd planował, by opłaty obowiązywały od początku 2022 r.
Do zmian jednak nie doszło i poprzestano na obciążaniu jedynie przedsiębiorców.

Po co „podatek od deszczu”?
Znacznie szerszy niż obecnie „podatek od deszczu” ma być elementem całego pakietu działań, które mają na celu ułatwienie zatrzymywanie wody i poprawę dostępności zasobów wodnych w Polsce. Przewiduje on także np. ułatwienia administracyjne dla inwestycji retencyjnych czy wprowadzenie zasady, iż – poza pewnymi wyjątkami – przynajmniej 30 proc. powierzchni każdej działki (dziś 25 proc.) powinna stanowić powierzchnia biologicznie czynna, w tym 15 proc. – gleba. Powierzchnia biologicznie czynna to w największym uproszczeniu powierzchnia niezabudowana, „zapewniająca naturalną wegetację roślin i retencję wód opadowych”.

Ustawodawcy mają pomysł aby z jednej strony przeciwdziałać skutkom suszy (m.in. zwiększając ilość wody dla nawodnień w rolnictwie), z drugiej zapewnić skuteczniejsze zapobieganie zalaniom.

Najprościej rzecz ujmując, podatek od zabetonowania płaci się za zabudowywanie nieruchomości, a wskutek tego zmniejszanie obszaru naturalnej retencji wody. Kto „betonuje” działkę i obok domu np. robi wielki, brukowany podjazd, buduje kilka garaży itp. – płaci wyższy podatek. Kto stawia na trawnik i rośliny, buduje oczko wodne, zbiera deszczówkę itd. – płaci mniej albo w ogóle.zobowiązani do wskazywania danych koniecznych do naliczania opłaty.

Czy i kiedy ostatecznie zostaną wprowadzone opłaty od zabetonowania podwórka i od ilości „złapanej” wody z deszczu, nie wiemy.
Jednak należy się zastanowić podczas urządzania swojej zagrody czy warto betonować swoją posesję, której podłoże (beton) podczas upałów może osiągać ponad 70 stopni, gdy w tym samym czasie podłoże trawiaste, zacienione jedynie trzydzieści parę stopni.

Zastanówmy się, czy pozostawienie działki w stanie zielonym nie będzie korzystniejsze dla naszych następców?

Pomysły o podatku od betonozy zapewne wrócą!

/MK/